
RAN Armament Depot Newington - Chronology
The starting point for this chronology is appendix A of the Millenium Parklands Heritage Precinct, Sydney Olympic Park Conservation Master Plan - July 2003. It is not a complete account of construction on the site.
This Conservation Master Plan is no longer available for download from the Sydney Olympic Park website but the 2013 Newington Armory Conservation Management Plan can be downloaded as two PDF files:
Volume 1Volume 2
1875 - 1897: Planning and Construction
1875
Report presented by the Gunpowder Storage Board, which recommended:
"That a separate and distinct magazine for merchant's gunpowder, capable of storing about 300 tons, be established on the right bank of the Parramatta River ... "
1877
There was interest in coal mining at Newington:
"BORING FOR COAL. - A company, called the City of Sydney Coal Mining Company, has been formed for the purpose of working the Newington estate, on the Parramatta River. The area is large, consisting of of 1500 acres, and the position is favourable for the carrying on of a trade in coal, if only they obtain the coal itself of good quality and at a reasonable distance from the surface. ..." (Sydney Morning Herald, 15 May 1877)
Circa 1881
A fascine dyke, made of ti-tree (Melaleuca), was constructed roughly along the line of the current sea wall.(The Cumberland Argus and Fruitgrowers Advocate, 11 October 1889)
1882
Portions south of the river and to Jamieson Street resumed (Government Gazette, 22 August 1882) for "certain works for and in connection with the erection of a magazine for the storage of gunpowder and other explosives and certain buildings in connection therewith". An area of 248 acres 1r 8p.
"Friday, October 20, 1882
In the Legislative Council, yesterday. ...
On the adjourned debate being resumed, upon the motion of Mr. Broderer, expressing the opinion that the Government ought, as early as possible, to remove the gunpowder and other explosives in the magazines within Sydney harbour.
Mr. Alexander Campbell explained that the Government had taken such steps in this matter that within 10 or 12 days the hulk Pride of England would be ready for the reception of explosives and the schooner Alacrity for the accommodation of the men. In addition to this, the Government had resumed 217 acres of land at Newington Flats, on the Parramatta River, where it was proposed to erect three magazines of moderate size, separated by mounds of earth. ..." (Sydney Morning Herald, 20 October 1882)
1889
The "Magazine Wharf" was in existence, and the existing fascine dyke was being replaced by a sea wall with rock from Glebe Island. (The Cumberland Argus and Fruitgrowers Advocate, 11 October 1889)
1892
"In 1882 the Government purchased 237 acres west of the bay, being part of the Newington estate, intending to use the site as a powder magazine. At a later stage it was decided to reclaim 217 acres, purchase and reclamation giving an area of 454 acres, with water frontages to three sides of the block. This work is now in progress, and gives employment to about 100 men. The market value of the whole block is estimated at 1000 pounds per acre." (Sydney Morning Herald, 5 March 1892, page 11)
1897
On 22 January 1897: "military authorities visited Newington and Parramatta re establishment of a magazine at the former place and head barracks for mounted forces at Parramatta." (The Cumberland Argus and Fruitgrowers Advocate, 1 January 1898)
6 March 1897: tenders called for by the NSW Military Forces for the construction of the magazine.
"There is to be a cooperage for the repairing of barrels, an examining room and a laboratory, for the making up of cartridges, and a gun-cotton store for the storage of dry gun-cotton. A convenient wharf has been placed on the river, and the river is to be deepened to the wharf. From the wharf, on which the iron gates will form the main entrance, there will be a thorough system of tram lines running around the reserve. One line will run to the gun-cotton store on the right hand side, and a double line of rails will run to the powder magazine." (Cumberland Argus and Fruitgrower's Advocate, Saturday September 4, 1897)
1898 - 1921: The Military in Occupation
1898
It is likely that the magazine was completed in 1898. View an album of photos showing the surviving buildings constructed at Newington in 1897-98.
1899
October: Work on the seawall at Newington was being undertaken. This was referred to as fascine work but the story makes it clear that stone was being used. (The Cumberland Argus and Fruitgrowers Advocate, 7 October 1899)
1902
March: The dredgers Groper and Charon were reported as working on reclamation in the vicinity of the Newington wharf. (The Cumberland Argus and Fruitgrowers Advocate, 29 March 1902)
1903
Report re transfer of properties describes Newington as "a comparatively new work completed in 1898 in four contracts amounting to £17,793. Includes warrant officers' quarters, four men's quarters, guard house, cells and lamp room, powder magazine, gun cotton store, laboratory, examining room, cooperage, latrines, jetty and approach, dwarf wall and iron fencing and gates, roads. All the buildings are of brick and the workmanship of the best quality. The powder magazine, laboratory and guncotton store are protected with brick retaining wall supporting earthworks mounds.
Sergeant Thomas Walker of the Royal Australian Artillery NSW was appointed in-charge of the Newington Magazine. (Royal Australian Navy Ammunition Depot Newington (RANAD Newington) - A Historical Survey for Explosive Ordnance Contamination for CH2M HILL AUSTRALIA Pty Ltd, page 7 referencing Australian Archives Series AWM3, item 03/1902)
1904
"MILITARY.
MAJOR-GENERAL HUTTON'S FAREWELL INSPECTIONS.
THE NEW SOUTH WALES PROGRAMME.
Major-General Sir Edward Hutton has mapped out his movements for each day from the present time up to November 15 next, when he embarks on board of a mail liner at Melbourne for London. ... September 5, Monday - Inspection at Newington and ordnance store; night attack. ..." (Sydney Morning Herald, 20 July 1904)
1906
Report of Committee of inquiry appointed to advise as to situation of present powder magazines and hulks and their liability to explode. Bantry Bay was considered to be the best option with the possible exception of Newington. The latter was ruled out because it was too close to densely occupied suburbs and this would increase as time went on; it was on a flat unscreened by hills; traffic to and from would have to pass through the busiest and narrowest part of the Harbour and Parramatta River; was too far from the Powder Ground at Rose Bay; the only part of the site that could be developed for a magazine was too far from the water and this would cause dangerous delays in transit of explosives.
1907
October: 84 feet of gunmetal plating was stolen from the tram rail. (Royal Australian Navy Ammunition Depot Newington (RANAD Newington) - A Historical Survey for Explosive Ordnance Contamination for CH2M HILL AUSTRALIA Pty Ltd, page 11)
1909
"KENSINGTON CAMP
PREPARING FOR THE END
The back of the work at the Kensington camp, where the Australian Rifles Regiment and the St. George's English Rifles formed the backbone of a mobile force, with details of the Australian Light Horse, A.M.C., and A.S.C., was practically broken yesterday afternoon, when the firstnamed struck camp to take part in further manoeuvres at North Sydney and district as a northern force, as provided in the scheme. ...
At 1.30 p.m. the A.R.R. and the St. George's English Rifle Regiment moved off and mounted guard within the Sydney fortress area, in continuation with the tactical scheme issued by Colonel Campbell (fortress commander) at such places as Woolwich, Mort's and Cockatoo docks, magazines at Newington, cable station at La Perouse, and ordnance stores, leaving detachments at each place to form guards, which were told off to maintain reliefs. At 3.30 p.m. the troops returned to camp." (Sydney Morning Herald, 12 April 1909)
1910
July: Sergeant Thomas Walker was promoted to Warrant Officer. (Royal Australian Navy Ammunition Depot Newington (RANAD Newington) - A Historical Survey for Explosive Ordnance Contamination for CH2M HILL AUSTRALIA Pty Ltd, page 11)
October: Warrant Officer Thomas Walker, of the Newington Powder Magazine, was reported to be being treated for a severe illness in a Sydney hospital. (The Cumberland Argus and Fruitgrowers Advocate, 1 October 1910)
NCO in charge of Newington requests erection of an "emergency magazine" for the storage of cordite cartridges on return after issue to Field Artillery.
1913
"GENERAL NOTES
Tenders are called by the Department of Home Affairs for ... the erection of four magazines at Newington, Parramatta River." (Sydney Morning Herald, 8 April 1913)
1914
"The commanding officer, Sydney Defended Port, Colonel G.R. Campbell, has issued the following official warning:-
"At night time boats are warned to keep clear of the water approaches to the Hawkesbury Bridge, Goat Island, Ryde Bridge, Como Bridge, Newington Magazine, Bondi and La Perouse Beaches, and of the foreshores of Middle Head, South Head, Balmoral, and Chowder Bay. Persons are also warned against approaching at night all places where military guards are known to be posted."" (Sydney Morning Herald, 19 August 1914)
1915
Inspection of facility by Commander Coast Defences 2 Military District - questioned need for guard as there was "hardly any ammunition at Newington Magazine".
The Government resumed 217 allotments of land north of Fariola Street from the Riverside Heights estate at Newington for stockyards in connection with the Homebush Abattoirs. (The Cumberland Argus and Fruitgrowers Advocate, 26 June 1915)
1917
John Howie, who constructed the Newington powder magazine, died at Katoomba. (Sydney Morning Herald, 15 October 1917.)
1918
"Although little or no expansion of the magazine area or facilities occurred during the WW1 years, Army's need to retain the facility was reasserted in November 1918. In response to a Defence memo concerning post-war storage of guns, mountings and munitions, the Senior Ordnance Officer of 2nd Military District stated that there was no (explosives) accommodation available at Newington or Goat Island Magazines but (other than) what will be required at the termination of the war." (Royal Australian Navy Ammunition Depot Newington (RANAD Newington) - A Historical Survey for Explosive Ordnance Contamination for CH2M HILL AUSTRALIA Pty Ltd, page 11,12)
1920
May: 1920 Navy decision to take control from Army. Report at the time described the facilities being; wharf (100 yards from magazine with a small hand worked travelling crane of about 3 cwt capacity); double line of rails 2 foot gauge with four trucks (from wharf to the magazine where they split to go into each compartment); magazine (three spans under one roof of three gables with a wall between each compartment and each compartment divided into bays by wooden uprights; dry gun cotton magazine (125 sq. feet of stowage, empty box store 225 ft. square and examining room 100 sq. feet) - magazine area encompassed an area of about 25 acres enclosed by an iron rail fence 8 feet high); lighting (oil lamps); water (4 inch main from Sydney Water supply); laboratory (in good condition); outside area to magazine belonging to Commonwealth totalled about 120 acres. This was surrounded by a wooden paling fence and also contained the caretaker's quarters. Reports show the site to be under utilised.
June:
"In June 1920, the Army stocks of Field Artillery ammunition had been removed to Liverpool (at Naval expense) and 1 and 2 chambers of the Main Magazine were empty. Chamber 3 still contained 400 barrels of gunpowder which was to be shipped to Melbourne, or sold, and the Guncotton Magazine still held a small quantity of gelignite and primers. The receiving room was empty but the Laboratory had not yet been cleared of tools and instruments." (Royal Australian Navy Ammunition Depot Newington (RANAD Newington) - A Historical Survey for Explosive Ordnance Contamination for CH2M HILL AUSTRALIA Pty Ltd, page 17)
This map section, dating from the early 1920s, shows the original magazine precinct, its surrounding iron picket fence and tramway tracks. North is to the right. The complete map also shows the residences, empty case store and smoke apparatus store.
1921 - 1938: Navy Takes Over
1921
Transfer from Army to Naval control (22 July). (This date needs confirmation, in view of the following newspaper notice.)
"COMMONWEALTH DEPARTMENT OF WORKS AND RAILWAYS
NAVAL WORKS BRANCH
Hand-power Portable Balance Revolving Crane, for wharf work at R.A. Naval Ordnance Depot, Newington Reserve, Newington, Parramatta River, Sydney, N.S.W.
Tenders are invited and will be received, subject to the conditions of tendering, until twelve noon, MONDAY, 13th JULY, 1921, for the SUPPLY and ERECTION of a Hand-Power Crane, as above... "(The Argus(Melbourne), 29 June 1921
1923
Navy proposed to build several new buildings at magazine: a brick gunpowder magazine measuring 30 feet x 30 feet with a lobby 8 feet x 8 feet; a brick, dry gun cotton magazine measuring 25 feet x 25 feet with a lobby of 8 feet x 8 feet; a wet gun cotton magazine of similar dimensions; a brick warhead magazine 40 feet x 40 feet with tramlines to run through the centre of the building and the overhead traveller then in use on the warhead store at Spectacle Island to be installed; three smaller buildings of fibro cement or corrugated iron, one for shell painting 20 feet x 15 feet and two for shell scraping each 10 feet x 15 feet. (Laboratory D)
1924
From this year, examination of shells and explosives transferred to Newington from Spectacle Island. Correspondence refers to take-over of site from military and completed construction of shell store and approval and plans completed for warhead store, dry and wet guncotton stores and gunpowder store; it is doubtful these buildings will be completed this financial year.
"BOY INJURED BY POWDER EXPLOSION
Introduction of shell filled with shellite makes it necessary to make provision for the protection of the employees. The existing Mess Room No. 1 was in the Magazine enclosure and the shifting room in the cooperage. It was necessary for Mess Rooms to be erected outside the Magazine enclosure and the existing Mess Rooms and surrounding verandas to be converted to Shifting Rooms for TNT and shellite workers with hot and cold baths and showers.
1925
Correspondence re improved system of hauling around site. Recommends provision of storage battery locomotive similar to that in use at Swan Island. The present system was unsatisfactory because a maximum load per day was 50 tons. The loco could carry 150 tons.
1925-1926
Approval given for three shell examining rooms. Three traversed brick buildings 10 feet x 15 feet on concrete with asphalt floors. One to be fitted with appliances for lifting and transporting 8-inch shell from the rail track to the building. Rail on loop opposite each with a shelter at entrance. Erection of additional buildings, fencing, rail tracks, fire services completed by 7/9 at a cost of £10,678 5s 4d. These encompassed wet guncotton store, gun powder magazine, dry guncotton store, and warhead store.
1926
New works included old mess building converted to a dressing shed (shifting room), hot water services salvaged from Spectacle Island installed, old smoke float store became boxed shell store leaving only fixed ammunition in main magazine; three shell examining rooms are erected and a new mess room built between the official residences and the main magazine enclosure - this was preferred because it was near the main gate and outside the magazine area. The bomb store was to be located on a small island in the swamp with a proposed isolation magazine on the swamp in a position around 400 yards from Group VI and the riverbank.
"TENDERS
(1) Newington Magazine: Erection of a brick messroom." Sydney Morning Herald, 26 May 1926)
A domestic tragedy occurred this year, involving 2 employees of the depot, as recorded in The Advertiser (South Australia) of 16 December 1926:
"SHOT HIS WIFE
THEN COMMITTED SUICIDE
AN UNHAPPY MARRIAGE
Sydney, December 15
A tragedy in Riley-street on December 6, when William Wood, laborer, employed at the Newington Ammunition Depot, fatally shot his wife, Mary Jane Wood, and then killed himself, was investigated by the City Coroner to-day.
The evidence showed that Wood and his wife did not live happily together. For some time they occupied part of a house at Newington with James Igoe, another worker at the depot. Six weeks ago Igoe took a room in Riley-street, where Mrs. Wood joined him, with two of her young children. It was at this house that Wood called to se his wife on December 6, and the shooting took place. Wood was said to have been much upset when his wife left him.
Igoe stated that though Mrs. Wood adopted his name she did not live with him as his wife.
The Coroner returned a finding in accordance with the evidence."
Igoe's wife Louisa had died in the July previous to the murder. Her newspaper death notice shows that she died "at her residence, Naval Magazine, Newington" aged 53 years. (Sydney Morning Herald, 14 July 1926.
1928
By 1928 the following had been completed: boxed shell store with fixed ammunition in main magazine but old smoke float store became available so boxed shell transferred there; extracting machine installed; indenting machine installed; three examining rooms now available (former examining room to be used as return store); old mess room converted into shifting room and lavatories provided; mess room erected between official residence and main magazine enclosure.
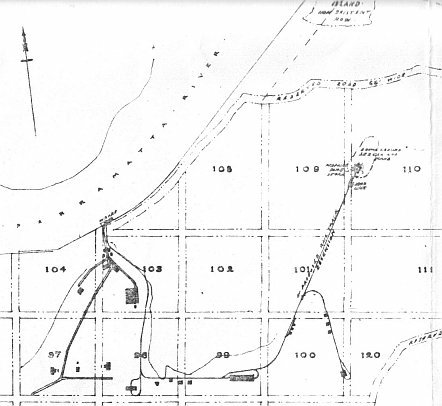
This map, dated 1928, shows the location for the "HMAS Albatross" bomb store (section 110), the three guncotton magazines(sections 100 and 101), filled shell and depth charge store (section 99), laboratory block "D" (sections 96 and 99) and laboratory block "B" (section 100). The original magazine precinct is in sections 103 and 104, and the residences in sections 97 and 98. Section 104 contains the original guncotton magazine, later replaced by Building No. 8.
"FIVE-DAY WEEK
NEWINGTON MUNITIONS DEPOT
Melbourne, Monday
An application was made to the Public Service Arbitrator (Mr. Atlee Hunt) by the Arms, Explosives and Munitions Workers' Federation for a variation of its determination covering members employed at Spectacle Island and Newington (N.S.W.) where munitions for the Australian Navy are stored.
Mr. Hunt prescribed that at Newington 44 hours should be worked on five days a week with a provision to meet emergencies."(Sydney Morning Herald, 15 May 1928)
1929
RAN Armament Depot Sydney Annual Report 1928-1929
The Newington depot in 1929 occupied approximately 200 acres or less than 1/3 the area occupied in 1987. Its facilities had been considerably increased since its acquisition by the RAN in 1921.
Ammunition was brought ashore at the wharf which was 100 feet long with an average depth of water of 10½ feet High Water Ordinary Spring Tides. A one-ton fixed hand crane was in use for unloading the lighters. 2-foot gauge steel tram lines were installed throughout except for the group VI store (present building no. 20) where the rails were of wood covered with brass strips. Rolling stock comprised 4 cartridge trucks and 6 shell trucks. Fire fighting arrangements comprised 21 standpipes on freshwater mains, with canvas hose at each standpipe. There was no fixed lighting, but portable electric safety lamps were available. The group VI store was fitted to take candle lamps. Provision of electric light and power was imminent.
The depot was guarded by a Naval Police complement of 4 - one Sergeant 2nd class and three constables. Police clocks were installed at various points and connected to an alarm at the sergeant's residence.
There were 5 residences and these were occupied by a foreman, storehouseman, sergeant and 2 constables.
Storehouses comprised 3 magazines and 4 explosives storehouses. One magazine was used for Group I ammunition, one for Group II ammunition and one for Group IV ammunition. The explosives storehouses comprised a filled shell store, a boxed shell store, a group VI (primer fitted ammunition) store and a Group VII (warhead) store.
Ammunition maintenance facilities comprised a main laboratory, three shell examining rooms, a shell marking room, a shell scraping room, a warhead examining room, a shell indenting room and a shell extracting room.
Stable erected for police horses; mounted patrols now replace former foot patrols. Galvanised iron with concrete floor 14 feet x 12 feet 6 inches. Had two stalls and feed boxes.
"Federal Public Works - Separate tenders, accompanied by the necessary deposits, will be received up to noon on the dates shown for the following works:- .... (10) Newington Magazine: Additions to stowage space, Group 6, February 25. (11) Newington Magazine: Provision of police accommodation, February 25. ..." (Sydney Morning Herald, 13 February 1929)
"FEDERAL PUBLIC WORKS The Tender Board of the Federal Public Works Department opened tenders on Monday as follows:- Newington Magazine: Erection of shell store, tenders referred to Works Director. ..." (Sydney Morning Herald, 24 April 1929)
1932
It was noted that in order to comply with regulations for Naval Armament Services there appeared to be no alternative but to transfer all explosives from Spectacle Island to some other suitable locations. Commenced to go to Newington but a prolonged process finally completed during World War 2.
1933
1934
By this year the bomb store had been completed for £4056-11s.-7d.
"RELIEF WORKS.
£65,185 In N.S.W.
FEDERAL PROGRAMME.
CANBERRA, Thursday.
Improvements to aerodromes and repairs to Government buildings will be carried out with the money to be made available by the Federal Government for the relief of unemployment in the next few weeks. ...
Newington Magazine: Construction of concrete tracks and further reclamation work, £4000. ...
Ammunition Depot: Providing new concrete floors, £2800. ...
Darling Island, Spectacle Island, Newington, and Lyne Park: Repairs and improvements, £1500." (Sydney Morning Herald, 23 November 1934)
1935
RAN Armament Depot Sydney Annual Report 1935
"GOVERNMENT CONTRACTS
... The Commonwealth of Australia, Department of the Interior has made the following orders on tenders recently received. Newington magazine. Erection of groups XI, and XIII explosives stores, lowest tender received, Gaskin Bros., Lawson Street, Waverley, £740; Newington magazine, erection of return store - tenders referred to Works Director; Newington magazine, laying concrete paving around magazines, explosives stores and laboratories - lowest tender received Melocco Bros., ? Booth-street, Annandale, £438?" (Sydney Morning Herald, 9 April 1935)
1937
First reference to horses used for hauling ammunition at depot but may have been in use earlier.
"RELIEF WORK.
Federal Grant.
EMPLOYMENT IN N.S.W.
Many districts in New South Wales will benefit from the unemployment relief works to be carried out during the Christmas period at the expense of the Commonwealth Government. ...
Newington Magazine, excavate site, Group VI, £250." (Sydney Morning Herald, 24 December 1937)
1938
Memo from Department of Defence: "The expansion program for the RAN provides for the erection of magazines and other facilities at Newington and due financial provision will be made in the estimates 1938/9. The area of land at the disposal of the Naval board is insufficient as a grouping of domestic buildings with explosives stores would not be in compliance with regulations and it will be necessary to prepare a new layout and rearrangement of buildings".
"The Commonwealth Department of the Interior has made the following orders on tenders:- Tenders received November 15. - Newington magazine: Erection of detonator store, lowest tender received: A. M. Donaldson £400." (Sydney Morning Herald, 15 February 1938)
1939 - 1946: Wartime Expansion
See also the page on the Experience of War at Sydney 1939-1945
1939
£9,000 authorised in Unemployment Relief Scheme funds at Newington. Works undertaken generally include levelling main road in magazine area; soil to be used in reclaiming swampy areas; grade outer road between entrance gate and wharf.
"DEFENCE WORKS
N.S.W. SHARE NOW £943,550.
Jobs for Unemployed.
CANBERRA, Tuesday.
New South Wales will now get £943,550 of the £2,000,000 which the Federal Government will spend on defence works to absorb the unemployed. ...
LIST OF WORKS. ...
NAVAL WORK: Newington magazine area, roads and swamp reclamation, £9,000." (Sydney Morning Herald, 15 November 1939)
1940
By this year a major building program was underway to accommodate removal of all explosives from Spectacle Island.
On 5 February, Garden Island Dockyard completed large electrical installations. (War Diary, Engineer Manager's Department)
"PERSONAL
VICE-REGAL
His Excellency the Governor-General, Lord Gowrie, accompanied by Commodore G.C. Muirhead-Gould, and attended by Captain L. E. Bracegirdle, inspected a naval establishment at Newington yesterday." (Sydney Morning Herald, 20 July 1940)
Work commenced on improvements to the wharf:
"RECENT CONTRACTS
Commonwealth Public Works
During March the following contracts of £1000 and over were let: ... Navy ... Newington magazines, New South Wales, extensions to wharf and pile foundations for cranes £1536 5s 6d." (Morning Bulletin (Rockhampton) 18 April 1940)
The proof facility building (Building 17) constructed at the same time as the present Building 18; the latter in the wetland to the east of the original magazine.
1941
Depot expanded by resumption of 38 hectares; this had been foreshadowed in 1939 and was accelerated by the entry of the USA into war in 1941 and the fall of Singapore in same year.
Carnarvon Golf Course to the west of the newly acquired land for RAN storage was acquired for development as an ammunition store for the US Navy. Also an area of about 200 acres to the south extending as far as Adderley Street was resumed to provide additional storage for both the Imperial (British) and Australian Navy. This extension (Auburn depot) was completed in 1944.
1942
17 February 1942: A Japanese float plane, piloted by Warrant Fying Officer Nobuo Fujita made an observation flight over Sydney from submarine I-25. A map of the track of this flight, published in A Very Rude Awakening by Peter Grose, shows that the plane passed north over Homebush Bay, just to the east of the Depot, before sunrise.
State Brickworks site requisitioned in this year and brick kilns were used as expedient explosives storage. One kiln was supposedly converted for use as a workshop. The 150 foot long brickyards wharf was served by 2 x 2.03 tonne electric cranes.
1943
Construction was completed on the USN buildings in the Bull Ring, Little Bull Ring and adjacent areas between Holker and Jamieson Streets and the Burma Road. Still suffered lack of accommodation. USN facilities were laid out in two areas, the circle connected by a sunken road (Bull Ring) and the section to the north (The Little Bull Ring). The Little Bull Ring was named "The Banana" in some later heritage studies.
1944
Auburn Depot extension complete in this year. Construction consisted of a number of storage buildings, two additional laboratory complexes (G and H) and administrative buildings. To the east of the new storage buildings a large area of lower lying land down to Haslams Creek became available as a burning ground for disposal activity.
1945
The US Navy departed from their depot; the buildings were taken over for storage of Commonwealth and "Imperial" stocks, the latter being for the British Pacific Fleet. (RANAD Sydney Newsletter, May 1948).
In January 1945 there were 430 people working at Newington on weekdays (115 of whom worked at weekends on Saturday and Sunday and 30 worked overtime during the week). By June 1945 the total figure was 678 and expected to rise to 818 in a few weeks. 120 now work overtime on weekdays and on weekends there are 335 on Saturday and 340 on Sunday (180 of these work nights on Saturday and 155 on Sunday). Superintendent stated that if more men could be encouraged to work on weekends and nights they would use them.
Wartime employment peaked at 1,141 in October 1945. This is the total for RANAD Sydney, not just Newington. (RANAD Sydney Newsletter, May 1948).
In late 1945 and 1946 the depot was busy loading large quantities of ammunition on to RN Armament Stores Issuing Ships for shipment to the UK, Singapore, Hong Kong and South Africa. (RANAD Sydney Newsletter, May 1948).
1946
"IRONWORKERS JOIN A.W.U.
Employees of naval establishments at Garden Island, Mascot, Spectacle Island, Homebush, Newington, and Rydalmere, at a largely attended meeting in the Australian Hall last night decided to break away fiom the Ironworkers' Union and join the A. W. U." (Sydney Morning Herald, 20 March 1946)
The RN's Assistant Director of Armament Supply (Pacific) returned to the UK in April. Eleven RN civilian staff remained in Sydney including executive staff, foremen, laboratorymen and storehousemen. Some of these were to remain until early 1949. (RANAD Sydney Newsletter, May 1948).
Union and personal conflict at Newington over an industrial dispute where union members were encouraged to "go slow" and use irritation tactics. Reported on sabotage of electro mobile, intimidation of one member by another to join union, a fist fight between two employees and vandalism of several buildings (roof damage and broken windows).
"INTER-UNION DISPUTE
Story of Police Protection
Police were called to protect a prominent member of a breakaway group from members of the Ironworkers Union at Newington Naval Depot, it was alleged in the Arbitration Court yesterday.
The Ironworkers' Union applied to the Court to declare that its members could not, without a breach of award, become members of the Australian Workers Union or a breakaway union known as the Naval Armaments Depot Employees' Association. ...
John Kirkwood Croft, of Wentworth Street, Granville, member of the branch committee of the Ironworkers Union, denied in evidence that any attempt was made to obstruct members of the breakaway union from entering the Newington works.
Police Escort
Edwin Painter, of Auburn, said he had resigned from the Ironworkers' Union on December 31 and was one of the leaders of the Naval Armaments Depot Employees' Association. On one occasion when he was leaving a bus to go into the Newington naval works about 200 men were gathered outside the works. Two policemen escorted him inside.
Constable N.J. Beattie, of Auburn, said that on March 22 he escorted Painter from a bus into the Newington works. There was no attempt to molest Painter, but if police had not been present the situation would have become violent, he said.
The hearing was adjourned until this morning."(Sydney Morning Herald, 9 April 1946)
Concern that men passing security clearances between themselves.
Instruction that the number of cattle grazed at Newington to be reduced to a minimum but notes that as no milk deliveries made they could be flexible. At that time there were 3 horses (1 police, 1 depot and 1 stray), 6 cattle (mostly privately owned) and 20 head of sheep grazing in an isolated and fenced area rented from the department by a local dairyman. In all, about 300 sheep, which are to be reduced to 200; they keep the grass down and reduce fire risk.
1947 - 1980: Post War
1947
Brickworks site vacated by January 1947. (RANAD Sydney Newsletter, May 1948).
300 tons of naval ammunition that had been stored at Bogan Gate were returned to Newington; depot staff disposed of 18,000 Smoke Floats A/C Navigation in situ at Bogan Gate.
The depot was busy loading stores for dumping, including 10,000 tons of Navy ammunition, plus several thousand tons for the Army and RAAF.
The Commonwealth Government banned the war-time practice of handling explosives across wharves, meaning all consignments had to be lightered to and from Newington. (RANAD Sydney Newsletter, May 1948).
The depot cricket team won the 1946-47 Public Service competition.
Staff numbers were about half of what they had been in August 1945.
New rules adopted for handling armaments.
On 22 April 1947 a general meeting of staff resulted in a decision to establish a "Food for Britain" fund. (RANAD Sydney Newsletter, May 1948).
An educational and technical examination was held in June for Assistants (Armament) wishing to progress to "charge" positions of Assistant Laboratoryman or Assistant Storehouseman. The examination was preceded by a preparatory series of 9 weekly lectures. There were 74 candidates of whom 18 passed. (RANAD Sydney Newsletter, May 1948).
1948
By 1948, 2 storage buildings at Rydalmere, on the opposite bank of the Parramatta River, had been taken over; one was being used for the storage of smoke floats, the other for empty packages.
A miniature rifle range was constructed at the Auburn depot for employee recreation and a rifle club was formed.
A depot "Smoko Night" was planned for July with an attendance of 250 expected. (RANAD Sydney Newsletter, May 1948).
Great difficulty was being experienced in obtaining vehicle tyres; new tyres were unobtainable and recourse to recapped and retreaded tyres had to be made, although the supply of these was also uncertain. (RANAD Sydney Newsletter, August 1948).
Admiralty staff Mr W. Perry (Assistant Foreman of Storehouses) and Mr. S. Watts (Assistant Foreman of Laboratories) were farewelled on their cessation (20 August) before return to the UK. Later in the year Mr. J. B. O'Leary (DASO) and N. J. Craner (AASO) were similarly farewelled before their return to the UK. (RANAD Sydney Newsletter, August 1948, February 1949)
3 electric shell scraping machines installed. (RANAD Sydney Newsletter, August 1948)
On 17 November, the first Annual Depot Ball was held at the Ashfield Town Hall, with 200 persons, including some from the RAN Torpedo Factory and Gunnery Equipment Depot, attending. (RANAD Sydney Newsletter, August 1948)"Successful experiments have been carried out in the destruction of small arm ammunition by burning. A very simple equipment comprising of a 44 gallon drum over an open fire was used; the drum which was fitted with a steel top, peppered with 1¼" holes, to allow escape of gases, was found to be strong enough to resist penetrations up to about a dozen burnings, although it was considered ammunition below the calibre of .5" only should be burnt by this method." (RANAD Sydney Newsletter, August 1948)
1949
Laboratoryman A. Laurence, an Admiralty staff member, ceased duty and was farewelled prior to his return to the UK in April 1949. (RANAD Sydney Newsletter, May 1949)
Site of Carnarvon Golf Course resumed (although requisitioned since 1943).
"JUST IN CASE
Sydney, July 3: As a precautionary measure against possible Communist sabotage during the coal strike, guards at key service depots around Sydney are being considerably strengthened. One of the biggest steps in this direction has been the substitution of of a naval guard of about 50 at the Newington naval explosives depot in place of the usual few civilian guards." (West Australian, 4 July 1949)
Changes were afoot to the existing storage safety distances:
"Far-reaching changes appear in the new tables of Safety Distances issued last year by the United Kingdom Committee, following the large scale test explosions conducted in Germany and elsewhere since the war ended. We are now examining our own storages and tonnages to see what the effect would be if the new distances were applied to existing explosives area, and the results to date clearly indicate that we need more room." (Naval Ordnance Branch Newsletter, May 1949)
1950
"Tonnage handled over the wharf has been quite heavy. Approximately 1100 tons of ammunition were pre-loaded for shipment to U.K. in A.S.I.S. "Fort Sandusky" and additional quantities are still being loaded. 350 tons of ammunition were also dumped by H.M.A.S. Woomera." (RANAD Sydney Newsletter, November 1950)
1951
On 1 June 1951 Stan Atherton became Armament Supply Officer (Magazine) (Officer-in-charge), living with his family in the OIC's residence (Building 122).
1,100 tons of ammunition were loaded on the ASIS "Fort Sandusky" which departed 20 February for the UK. The ship had arrived on 27 December 1950.
Stocks of empty ammunition packages, package components and ammunition components were being transferred from Spectacle Island to Newington.
Assistant Armament Supply Officer Mr J. M. Markham (Admiralty) was farewelled on his return to the UK; a silver tea service was presented to him as a token of the esteem in which he was held.
Ammunition was being shipped by freight ship to Japan for resupply of Australian ships involved in the Korean War; depot laboratories were also busy fuzing ammunition for these ships.
Demolition operations were in the news:
" ... a box of Australian [Bofors] ammunition was discovered in such a heavily and badly corroded state that it had to be demolished. A site in the middle of the swamp was selected and work commenced. A hole about 6 feet deep by 4 feet square was dug and the box, suitably tamped by sandbags, was blown up. Representatives from the Explosives Factory at St. Marys were present and everyone was agreed that the result was one of which our Superintending Foreman of Laboratories and his staff could well be proud. ...
Demolition work has been slowed down. Our site consists of a 16" shell set in 4 feet of concrete. From the constant blowing up of Bofors rounds the shell has cracked and the concrete with it. Work is still proceeding but in reduced quantities." (RANAD Sydney Newsletter, May 1951)
1952
A traverse was constructed to house the apparatus for unfuzing shell under precautions (Laboratory B). (RANAD Sydney Newsletter August 1952)
The 16-inch practice projectile used for demolition purposes having split in two was replaced with a 15-inch APC shell from Melbourne.(RANAD Sydney Newsletter November 1952)
1953
The compulsory acqusition of the Carnarvon Golf Links was finalised at a cost of £15,370. (Navy Office letter 3163/14/84 of 14 April 1953)
Mr F. J. Jeanes, Superintending Foreman of Laboratories sailed for the UK per RMS "Strathaird" on 16 January 1953 on exchange duty for two years. His Admiralty replacement was Mr. H. Streater, who arrived per RMS "Himalaya" on 26 December 1952. (RANAD Sydney Newsletter February 1953). (The August Newsletter reported that Mr Streater had been taken ill in May, returned to the UK by air and was taken directly to hospital where he died on 4 July 1953.)
Work commenced on the repair and renovation of the four cottages alloocated to Naval Dockyard Police (RANAD Sydney Newsletter May 1953)
Heavy rain flooded buildings:
"... Rain clouds developed during the afternoon of 6th May and throughout that night several inches of rain were recorded in Sydney. Drains in the Newington area could not cope with the volume of water coming down from the higher slopes of the Depot, and in lower parts water accumulated to such an extent that two buildings in which pyrotechnics and dangerous goods are stored were badly flooded. Fortunately, the heavy rain did very little damage to the banks of railway cuttings and traverses of magazines and shell stores on this occasion." (RANAD Sydney Newsletter, May 1953)
A busy time:
"Work at the Newington wharf was extremely heavy throughout the last quarter. Apart from our own normal requirements ... Approximately 300 tons of powder, transported by road from Melbourne by Department of Supply, were loaded into lighters for subsequent shipment overseas.
Approximately 2,500 tons of ammunition shipped from Darwin by commercial freight and H.M.A.S. "WOOMERA" was conveyed to Newington for transportation to various Royal Australian Air Force storage depots. At times our three fixed cranes and the mobile crane were in use ..." (RANAD Sydney Newsletter, August 1953)
Relief at last:
"Works - The most noteworthy move during the quarter was the beginning of the installation of electric pumps for the septic tanks at Newington. For a long time this laborious job was done by hand but the Director of Naval Works witnessed the operation during a recent tour of inspection of the Depot and through his influence a start has been made. the electric pumps should be humming merrily now." (RANAD Sydney Newsletter, August 1953)
Wool prices were in the news:
"If you have seen a couple of Depot employees going about with a dreamy look in their eyes, you can say they have been wool-gathering. All the Depot's flock of sheep have been shorn, and it is expected that Defence Revenue will benefit considerably." (RANAD Sydney Newsletter, November 1953)
1956
Horse acquired to pick up garbage in depot.
1957
On 13 September 1957 the laboratory at Spectacle Island was closed by direction of the Naval Board; from this date all laboratory work was conducted at Newington.1958
On 20 October 1958, the Magazine office staff transferred from Spectacle Island to Newington.1960
RAN Armament Depot, Sydney - Staffing December 1960
| Location | Storehouses | Road transport | Workshops | Laboratories | Clerical | Foremen |
| Newington | 70 | 28 | 3 | 61 | 18 | 6 |
1961
The mare "Doll" or "Dolly", who had been retired in 1956, died at Newington of old age on the night of 5th February, 1961.
1962
Stan Atherton retires as Officer-in-charge.
5-ton travelling diesel crane erected at western end of wharf.
1963
Horse used only for garbage dray; sent to auction in this year.
1971
Tear gas and other pollution from burning ground carried to a nearby industrial complex creating greater urgency in relocating this aspect of work.
1972
Part of southern area of depot surrendered to the state for road works.
Rankin furnace and SAA destructor moved from the burning ground to the present location in the proof yard area.
1974
Cranes 30 and 33 replaced by 3 ton stationary level luffing electric wharf jib cranes.
1975
5th September 1975: two armament workers were killed in an explosion at the RAN's Armament Depot, at Newington, Sydney. The accident occurred during the testing of a torpedo firing pistol.
1977
Old southern burning ground near Haslams Creek continued in use until this year when it was relocated to a new site in a fenced compound to the east of Building 132.
1981 - 1999: The End in Sight
1981
Stores complex at Silverwater transferred from DHC to Navy (2 June) for $1 million.
1989
Notification by AHC to place Newington on the Register of the National Estate.
1990
Rankine furnace replaced by a new machine.
1993
In an answer to a question on notice (no.291) on 25 May 1993, the Minister for Defence, Senator Robert Ray, stated:
"Following discussions between relevant Ministers, I directed on 24 December 1992 that the Department of Defence commence planning immediately for the closure of Newington Armament Depot and the associated ammunition supply line between Kingswood and the anchorage in Sydney harbour, based on a timetable assuming Sydney will be successful in the bid for the 2000 Olympic Games. Should Sydney's Olympic bid be unsuccessful, the intention is still to vacate the depot and close the supply line, and to sell all or part of the site to the New South Wales Government or other bidders on the basis of a commercial decision. The precise timing for this can be decided after the International Olympic Committee decision in September 1993."
1994
March: announcement made that the depot would close.
1999
The last ammunition operation was conducted over the wharf on 14 December 1999, after which the depot closed.